0
Skip to Content
Dr. Oakley Smith Rhinoplasty
Home
Before and After
Female Rhinoplasty
Female Rhinoplasty 2
Ethnic Rhinoplasty
Revision Rhinoplasty
Male Rhinoplasty
Rhinophyma
About
Our Philosophy
Dr. Oakley Smith
Fellowship
Rhinoplasty
Our Process
Costs
Non-Surgical Rhinoplasty
FAQ
Learning Center
Book a Consultation
Open Menu
Close Menu
Dr. Oakley Smith Rhinoplasty
Home
Before and After
Female Rhinoplasty
Female Rhinoplasty 2
Ethnic Rhinoplasty
Revision Rhinoplasty
Male Rhinoplasty
Rhinophyma
About
Our Philosophy
Dr. Oakley Smith
Fellowship
Rhinoplasty
Our Process
Costs
Non-Surgical Rhinoplasty
FAQ
Learning Center
Book a Consultation
Open Menu
Close Menu
Home
Folder:
Before and After
Back
Female Rhinoplasty
Female Rhinoplasty 2
Ethnic Rhinoplasty
Revision Rhinoplasty
Male Rhinoplasty
Rhinophyma
Folder:
About
Back
Our Philosophy
Dr. Oakley Smith
Fellowship
Folder:
Rhinoplasty
Back
Our Process
Costs
Non-Surgical Rhinoplasty
FAQ
Learning Center
Book a Consultation
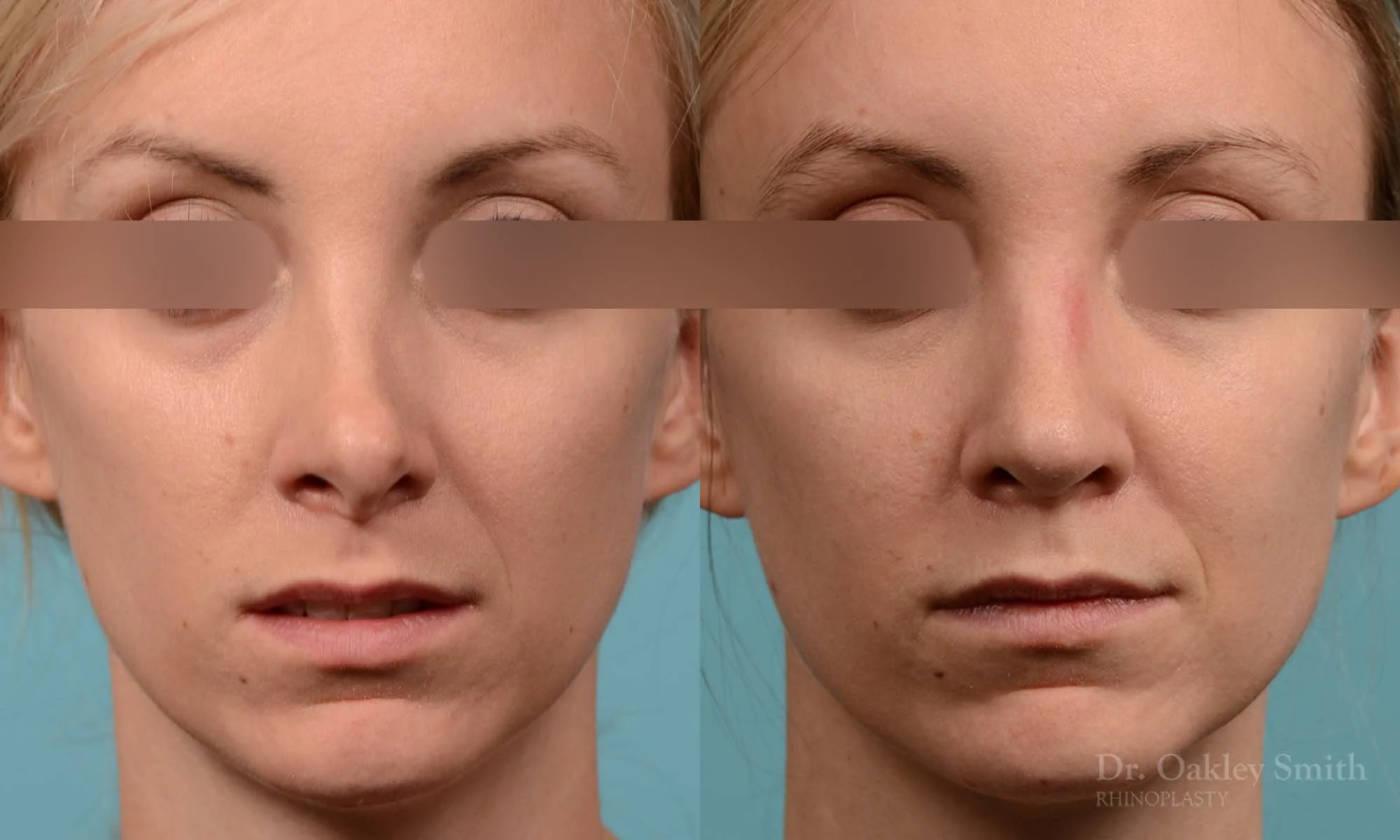
280: Female, Revision Rhinoplasty, Tip Reconstruction
Previous
Previous
331: Female, Revision Rhinoplasty, Tip Reconstruction
Next
Next
258: Female, Revision Rhinoplasty, Tip Reconstruction, Bridge Reconstruction